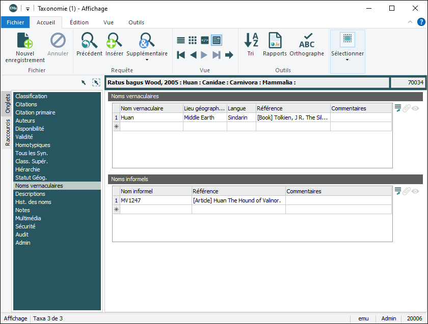
L'onglet Noms vernaculaires

Cet onglet sert à enregistrer des détails concernant les Noms vernaculaires et Noms informels d'une espèce.

  • Une espèce peut avoir un ou plusieurs Noms vernaculaires, et le même Nom vernaculaire peut être utilisé pour plus d'une espèce ! En résumé, un nom vernaculaire est un nom sous lequel une espèce est connue et qui n'est pas le nom scientifique officiel.
  • Un Nom informel est un terme informel (non officiel) généralement utilisé par les taxonomistes / scientifiques pour identifier un ou plusieurs organismes avant qu'ils aient été officiellement classés.

L'onglet comporte deux tableaux :

Noms vernac.

Pour enregistrer les détails d'un Nom vernaculaire pour cette espèce :

  1. Entrer un nom dans le champ Nom vernaculaire : (Noms vernaculaires)

    -OU-

    Sélectionner un nom dans la Liste de consultation de Nom vernaculaire (cliquer sur le bouton Liste de consultation Liste de consultation).

  2. Aller jusqu'au champ Lieu géographique : (Noms vernaculaires) et entrer le lieu géographique où ce nom est utilisé

    -OU-

    Sélectionner un nom dans la Liste de consultation de Lieu géographique : (Noms vernaculaires).

  3. Aller jusqu'au champ Langue : (Noms vernaculaires) et entrer la langue dans laquelle ce nom est utilisé

    -OU-

    Sélectionner une langue dans la Liste de consultation de Langue : (Noms vernaculaires).

  4. Aller jusqu'au champ Référence : (Noms vernaculaires) et cliquez sur Joindre Joindre.

    Le module Bibliographie s'affiche.

  5. Rechercher et joindre l'enregistrement d'une référence bibliographique dans laquelle ce Nom vernaculaire est utilisé.
  6. Ajouter tout commentaire dans le champ Commentaires : (Noms vernaculaires).
  7. Pour ajouter un autre Nom vernaculaire, cliquez sur la dernière ligne du tableau (la ligne avec l'astérisque).

    Note: Le Nom vernaculaire s'affiche avec le nom scientifique de l'espèce dans les Données sommaires.

Pour enregistrer des détails concernant un Nom informel pour cette espèce :

  1. Aller jusqu'au champ Nom informel : (Noms informels) et entrer un Nom Informel.
  2. Aller jusqu'au champ Référence : (Noms informels) et cliquer Joindre Joindre.

    Le module Bibliographie s'affiche.

  3. Rechercher et joindre l'enregistrement d'une référence bibliographique dans laquelle ce Nom Informel est utilisé.
  4. Ajouter tout commentaire dans le champ Commentaires : (Noms informels).
  5. Pour ajouter un autre Nom informel, cliquer sur la dernière ligne du tableau (la ligne avec l'astérisque).